Skip To Content

TBD Mount Olive Church Rd.

Green Sea, SC 29545
  • $149,900
  • STATUS: Active
  • ON SITE: 341 Days
  • MLS #: 2500389
$149,900
  • 0
    BEDS
  • 8.08
    ACRES
  • 0
    BATHS
  • 0
    1/2 BATHS
Neighborhood:
Type:
Vacant Land / Lots
County:

School Information

Elementary School:
Middle School:

Description

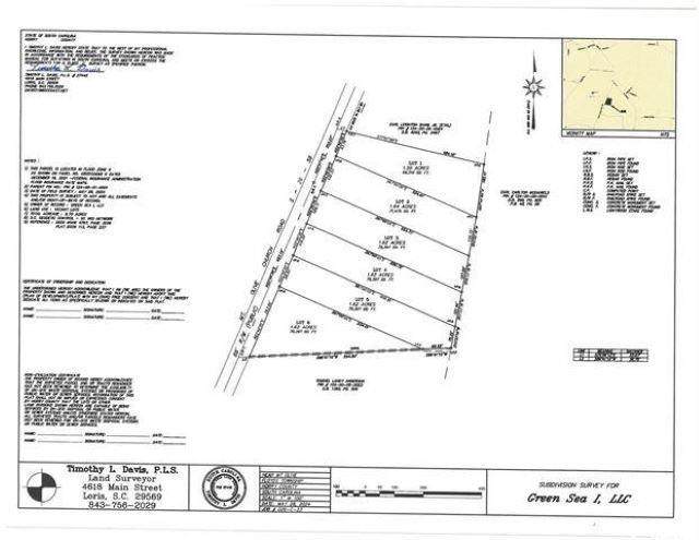
This fantastic tract of cleared land offers exceptional soil and endless possibilities. In the pictures, the second image showcases a plat of the proposed subdivision, including Lot 4, though the land has not yet been officially subdivided. The subdivision layout can be customized to meet the buyer's needs, providing flexibility and room for your vision. The owner is open to selling the entire tract or select lots, with the condition that lots be purchased sequentially, either from left to right or right to leftno random selections are permitted. The property will require a well and septic system, making it ideal for those looking to create a home tailored to their preferences. Located less than an hour from Myrtle Beach, this property offers convenient access to world-class dining, shopping, and golf. Whether you're envisioning a mobile home or a stick-built home, this is the perfect opportunity to create your dream residence in a highly desirable location.

Monthly Payment Calculator



Coastal Carolina Association of Realtors logo© 2025 Coastal Carolinas Association of REALTORS® MLS. All rights reserved. IDX information is provided exclusively for consumers' personal, non-commercial use and may not be used for any purpose other than to identify prospective properties consumers may be interested in purchasing. Information is deemed reliable but is not guaranteed accurate by the MLS or Coldwell Banker Sea Coast Advantage. The data relating to real estate for sale or lease on this web site comes in part from CCAR. Real estate listings held by brokerage firms other than Coldwell Banker Sea Coast Advantage are marked with the CCAR logo or an abbreviated logo and detailed information about them includes the name of the listing broker. Data last updated: 2025-12-14T00:20:40.647.
www.cbseacoast.com/homes/159226653
Print Image

TBD Mount Olive Church Rd. Green Sea, SC 29545

  • Price: $149,900
  • Status: Active
  • On Site: 341 Days
  • MLS #: 2500389
0
Beds
0
Baths
0
½ Baths
8.08
Acres
Neighborhood:
Not within a Subdivision
County:
Horry
Area:
01A Loris Area--West of Loris & North of HWY 9
Elementary School:
Daisy Elementary School
Middle School:
Greensea Floyds
High School:
Green Sea Floyds High School
Property Description
This fantastic tract of cleared land offers exceptional soil and endless possibilities. In the pictures, the second image showcases a plat of the proposed subdivision, including Lot 4, though the land has not yet been officially subdivided. The subdivision layout can be customized to meet the buyer's needs, providing flexibility and room for your vision. The owner is open to selling the entire tract or select lots, with the condition that lots be purchased sequentially, either from left to right or right to leftno random selections are permitted. The property will require a well and septic system, making it ideal for those looking to create a home tailored to their preferences. Located less than an hour from Myrtle Beach, this property offers convenient access to world-class dining, shopping, and golf. Whether you're envisioning a mobile home or a stick-built home, this is the perfect opportunity to create your dream residence in a highly desirable location.
Exterior Features

Lot Features Outside City Limits Rectangular Rectangular Lot Acreage Road Frontage Type County Road

Property Features

Association Fee 0 Association Fee Frequency Monthly Association YN No Documents Available Aerial Plat Subdivision Plan Survey Lease Considered YN No Listing Terms Cash Conventional Location Outside City Limits Property Sub Type Acreage Property Sub Type Additional Acreage Sewer Septic Tank Special Listing Conditions None Utilities Electricity Available Septic Available Water Source Well Zoning FA

Coastal Carolina Association of Realtors logo Listing information © 2025 Coastal Carolinas Association of REALTORS® MLS. Listing provided by NextHome The Agency Group MB:.


Coastal Carolina Association of Realtors logo© 2025 Coastal Carolinas Association of REALTORS® MLS. All rights reserved. IDX information is provided exclusively for consumers' personal, non-commercial use and may not be used for any purpose other than to identify prospective properties consumers may be interested in purchasing. Information is deemed reliable but is not guaranteed accurate by the MLS or Coldwell Banker Sea Coast Advantage. The data relating to real estate for sale or lease on this web site comes in part from CCAR. Real estate listings held by brokerage firms other than Coldwell Banker Sea Coast Advantage are marked with the CCAR logo or an abbreviated logo and detailed information about them includes the name of the listing broker. Data last updated: 2025-12-14T00:20:40.647.
 
https://bt-photos.global.ssl.fastly.net/ccar/orig_boomver_1_2500389-2.jpg https://bt-photos.global.ssl.fastly.net/ccar/orig_boomver_1_2500389-2.jpg https://bt-photos.global.ssl.fastly.net/ccar/orig_boomver_1_2500389-2.jpg
Logo
Coldwell Banker Sea Coast Advantage
,