Skip To Content

TBD Mount Olive Church Rd.

Green Sea, SC 29545
  • $34,900
  • STATUS: Active
  • ON SITE: 345 Days
  • MLS #: 2500079
$34,900
  • 0
    BEDS
  • 1.62
    ACRES
  • 0
    BATHS
  • 0
    1/2 BATHS
Neighborhood:
Type:
Vacant Land / Lots
County:

School Information

Middle School:

Description

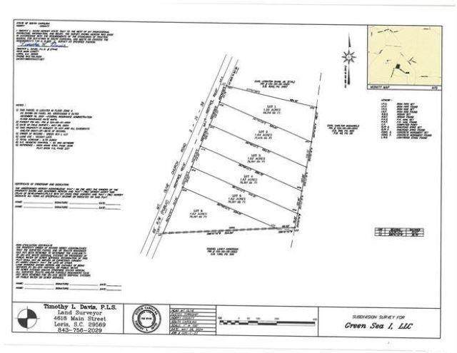
Fantastic tract of cleared land with exceptional soil (Lot 4). In the pictures, the second image shows a plat of the proposed subdivision for the tract. Please note that the land has not yet been subdivided, and the subdivision layout can be adjusted based on the buyer's needs. The owner is willing to sell either the entire tract or select lots, with the condition that the lots be purchased in sequence, either from left to right or right to leftno random selections. The lot will require a well and septic system. There are certain restrictions in place for building on this land. Homes must be stick-built, modular, or doublewide, with a minimum of 1,200 sq ft. A covered front porch of at least 4x8 is required, and the foundation must be made of stone or brickplastic or vinyl underpinnings are not allowed. Additionally, there must be at least one stall in the carport. If a mobile home is placed on the property, it must be 2015 or newer. This is a great opportunity for someone looking for a property with flexibility and room for customization.

Monthly Payment Calculator



Coastal Carolina Association of Realtors logo© 2025 Coastal Carolinas Association of REALTORS® MLS. All rights reserved. IDX information is provided exclusively for consumers' personal, non-commercial use and may not be used for any purpose other than to identify prospective properties consumers may be interested in purchasing. Information is deemed reliable but is not guaranteed accurate by the MLS or Coldwell Banker Sea Coast Advantage. The data relating to real estate for sale or lease on this web site comes in part from CCAR. Real estate listings held by brokerage firms other than Coldwell Banker Sea Coast Advantage are marked with the CCAR logo or an abbreviated logo and detailed information about them includes the name of the listing broker. Data last updated: 2025-12-14T00:20:40.647.
www.cbseacoast.com/homes/159137711
Print Image

TBD Mount Olive Church Rd. Green Sea, SC 29545

  • Price: $34,900
  • Status: Active
  • On Site: 345 Days
  • MLS #: 2500079
0
Beds
0
Baths
0
½ Baths
1.62
Acres
Neighborhood:
Not within a Subdivision
County:
Horry
Area:
01A Loris Area--West of Loris & North of HWY 9
Elementary School:
Green Sea Floyds Elementary Scho
Middle School:
Greensea Floyds
High School:
Green Sea Floyds High School
Property Description
Fantastic tract of cleared land with exceptional soil (Lot 4). In the pictures, the second image shows a plat of the proposed subdivision for the tract. Please note that the land has not yet been subdivided, and the subdivision layout can be adjusted based on the buyer's needs. The owner is willing to sell either the entire tract or select lots, with the condition that the lots be purchased in sequence, either from left to right or right to leftno random selections. The lot will require a well and septic system. There are certain restrictions in place for building on this land. Homes must be stick-built, modular, or doublewide, with a minimum of 1,200 sq ft. A covered front porch of at least 4x8 is required, and the foundation must be made of stone or brickplastic or vinyl underpinnings are not allowed. Additionally, there must be at least one stall in the carport. If a mobile home is placed on the property, it must be 2015 or newer. This is a great opportunity for someone looking for a property with flexibility and room for customization.
Exterior Features

Lot Features Outside City Limits Rectangular Rectangular Lot Acreage Road Frontage Type County Road

Property Features

Association Fee 0 Association Fee Frequency Monthly Association YN No Documents Available Plat Survey Lease Considered YN No Listing Terms Cash Conventional Location Outside City Limits Property Sub Type Acreage Property Sub Type Additional Acreage Sewer Septic Permit Special Listing Conditions None Utilities Electricity Available Water Source Well Zoning FA

Coastal Carolina Association of Realtors logo Listing information © 2025 Coastal Carolinas Association of REALTORS® MLS. Listing provided by NextHome The Agency Group MB:.


Coastal Carolina Association of Realtors logo© 2025 Coastal Carolinas Association of REALTORS® MLS. All rights reserved. IDX information is provided exclusively for consumers' personal, non-commercial use and may not be used for any purpose other than to identify prospective properties consumers may be interested in purchasing. Information is deemed reliable but is not guaranteed accurate by the MLS or Coldwell Banker Sea Coast Advantage. The data relating to real estate for sale or lease on this web site comes in part from CCAR. Real estate listings held by brokerage firms other than Coldwell Banker Sea Coast Advantage are marked with the CCAR logo or an abbreviated logo and detailed information about them includes the name of the listing broker. Data last updated: 2025-12-14T00:20:40.647.
 
https://bt-photos.global.ssl.fastly.net/ccar/orig_boomver_1_2500079-2.jpg https://bt-photos.global.ssl.fastly.net/ccar/orig_boomver_1_2500079-2.jpg https://bt-photos.global.ssl.fastly.net/ccar/orig_boomver_1_2500079-2.jpg
Logo
Coldwell Banker Sea Coast Advantage
,