Skip To Content

101 Haddington Drive

Pinehurst, NC 28374
  • $265,000
  • STATUS: Active Under Contract
  • ON SITE: 20 Days
  • MLS #: 100536631
Under Contract
$265,000
  • 0
    BEDS
  • 1.63
    ACRES
  • 0
    BATHS
  • 0
    1/2 BATHS
Neighborhood:
Type:
Vacant Land / Lots
County:
Area:

School Information

Elementary School:
Middle School:
High School:
School District:

Description

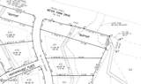
Beautiful 1.63 acre lot borders the golf course at popular Forest Creek! The building envelope is ample and outside the flood zone. The back portion of lot is in flood zone and has some wetlands. A great building lot for your dream home or spec home. The lot has a wooded buffer on the left side which provides wooded area between the lot and the road.

Monthly Payment Calculator



Mid Carolina MLS logo© 2025 NCRMLS. All rights reserved. North Carolina Regional Multiple Listing Service, (NCRMLS), provides content displayed here (“provided content”) on an “as is” basis and makes no representations or warranties regarding the provided content, including, but not limited to those of non-infringement, timeliness, accuracy, or completeness. Individuals and companies using information presented are responsible for verification and validation of information they utilize and present to their customers and clients. NCRMLS will not be liable for any damage or loss resulting from use of the provided content or the products available through Portals, IDX, VOW, and/or Syndication. Recipients of this information shall not resell, redistribute, reproduce, modify, or otherwise copy any portion thereof without the expressed written consent of NCRMLS. Data last updated 2025-11-06T23:32:24.88.
www.cbseacoast.com/homes/168977700
Print Image

101 Haddington Drive Pinehurst, NC 28374

  • Price: $265,000
  • Status: Active Under Contract
  • On Site: 20 Days
  • MLS #: 100536631
0
Beds
0
Baths
0
½ Baths
1.63
Acres
Neighborhood:
Forest Creek
County:
Moore
Area:
Pinehurst
Elementary School:
Mcdeeds Creek Elementary
Middle School:
New Century Middle
High School:
Union Pines High
School District:
Moore County Schools
Property Description
Beautiful 1.63 acre lot borders the golf course at popular Forest Creek! The building envelope is ample and outside the flood zone. The back portion of lot is in flood zone and has some wetlands. A great building lot for your dream home or spec home. The lot has a wooded buffer on the left side which provides wooded area between the lot and the road.
Exterior Features

Fencing None

Property Features

Association Amenities GatedJogging PathMaintenance Common AreasMaintenance RoadsManagementMaster InsureStreet LightsTrail(s) Association Fee 924 Association YN Yes Buildings On Property None Cobra Zone YN No Current Use VacantSingle FamilyResidential Deed Restriction YN Yes Federal Flood Insurance Available YN No Frontage Type Golf Course In City Limits YN Yes Island Or Mainland Mainland Listing Terms 1031 ExchangeCashConventionalFHAVA Loan Lot Features On Golf CourseDevelopmentSubdividedWetlandsWooded Lot Number 401 Other Structures None Property Sub Type Residential Land Road Frontage Type Private RoadMaintainedPaved Road Surface Type Paved Sewer Provider Municipal Sewer Soil Evaluation Soil Evaluation - No Special Listing Conditions Standard Tax Amount 623 Tax Year 2025 Topography Wooded Total Road Frontage 229 Utilities Sewer AvailableWater Available Water Source Public Waterfront Features None Waterfront YN No Wooded Area 1.63 Zoning RS-3



Mid Carolina MLS logo Listing information © 2025 NCRMLS
Listing courtesy of Tammy Lyne of Keller Williams Pinehurst: .


Mid Carolina MLS logo© 2025 NCRMLS. All rights reserved. North Carolina Regional Multiple Listing Service, (NCRMLS), provides content displayed here (“provided content”) on an “as is” basis and makes no representations or warranties regarding the provided content, including, but not limited to those of non-infringement, timeliness, accuracy, or completeness. Individuals and companies using information presented are responsible for verification and validation of information they utilize and present to their customers and clients. NCRMLS will not be liable for any damage or loss resulting from use of the provided content or the products available through Portals, IDX, VOW, and/or Syndication. Recipients of this information shall not resell, redistribute, reproduce, modify, or otherwise copy any portion thereof without the expressed written consent of NCRMLS. Data last updated 2025-11-06T23:32:24.88.
 
https://bt-photos.global.ssl.fastly.net/ncreg/1280_boomver_2_5203a119e08c2d219fae6a2a2a2e2c9d-2.jpg https://bt-photos.global.ssl.fastly.net/ncreg/1280_boomver_2_5203a119e08c2d219fae6a2a2a2e2c9d-2.jpg https://bt-photos.global.ssl.fastly.net/ncreg/1280_boomver_2_5203a119e08c2d219fae6a2a2a2e2c9d-2.jpg
Logo
Coldwell Banker Sea Coast Advantage
,